logo
  • Community
  • Training
  • Partners
  • Support
Cloudera Community
  • Cloudera Community

  • Announcements
    • Community Announcements
    • What's New @ Cloudera
  • Support
    • Support Questions
    • Community Articles
    • Groups
  • Using the Community
    • Getting Started
    • Intros and Suggestions
    • Community Tips
  • Blogs
    • Developer Blogs
    • Engineering Blogs
Sign In

Welcome to the Cloudera Community

cancel
Turn on suggestions
Auto-suggest helps you quickly narrow down your search results by suggesting possible matches as you type.
Showing results for 
Show  only  | Search instead for 
Did you mean: 
Advanced Search

29158

DISCUSSIONS

134419

MEMBERS

3236

ARTICLES

Announcements
Now Live: Explore expert insights and technical deep dives on the new Cloudera Community Blogs — Read the Announcement
  • Cloudera Community
  • Albums for Community
  • Images in Public (TimothySpann)
  • My Images for TimothySpann

My Images for TimothySpann

  • Albums
  • All Images
Image Options
  • Flag Image for Review
  • Bookmark
  • Subscribe to RSS Feed

Album: Public (TimothySpann)

by Master Guru TimothySpann Master Guru
15703-jmsdatainzeppelin.png
15704-jmsmeeetupsql.png
15651-hiveandphoenixtoorc.png
15652-nifibackup1.png
15634-tinker-board-logo.png
15635-tinkerboard1.jpg
15632-tinkerflow.png
15633-tinkernifiprovenance.png
15239-weathercoding.png
15254-inferavroschema.png
15253-convertavrotojson.png
15255-mergecontent.png
15251-convertavrotoorc.png
15240-weatherzep.png
15216-rpiwz.jpg
15213-rpwzcgps.png
15217-rpiwznifi.png
15212-rpwzgpszep.png
15211-rpwznifiprovenance.png
14941-happybubblesv2.jpg
14942-ibeacondevice.jpg
14943-beacondataflow.png
14944-beaconzeppelindata.png
14945-beaconweb7.png
14946-beacon8.png
14947-beacon9.png
14276-reconstitueflow.png
14277-flowfilereconstituded.png
14278-flowfile3recon2.png
14279-reloaded.png
14305-reportingtasktoganglia.png
14304-reportingtasks.png
14306-monitoringflowspluschatops.png
14303-monitoractivitytoslackops.png
14308-cdcdataflowtop.png
14309-cdcdataflowlower.png
14310-cdcrouteonattribute.png
14311-cdcsplit.png
14315-sqlupdateattribute.png
14314-sqlstring.png
14312-tweetswithgooglelocation.png
14313-mockaroo.png
13774-phoneflow.png
13777-phonehandlehttprequest.png
13778-phonehandlehttpresponse.png
13779-phoneattributes.png
13773-phonezeppelin.png
13728-onion-logo-full.png
13729-onioninstall.png
13730-oniondataflow.png
14944-beaconzeppelindata.png
Previous
14944-beaconzeppelindata.png
Next
Added ‎08-17-2019 01:10 PM
0 Kudos
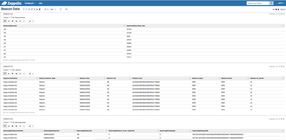
Posted in: Ingesting iBeacon Data via BLE to MQTT WiFi Gateways via Apache NiFi - ( ‎04-28-2017 09:39 PM )

You must be a registered user to add a comment on this image. If you've already registered, sign in. Otherwise, register and sign in.

  • Add a Comment
cloudera logo
  • Community Guidelines
  • Community FAQs
  • My Cloudera
  • Community
  • Documentation
  • Knowledge Base
  • Product Pricing
© 2026 Cloudera, Inc. All rights reserved.
  • Terms & Conditions
  • Privacy Policy and Data Policy
  • Unsubscribe / Do Not Sell My Personal Information
Cookie Settings Apache Hadoop and associated open source project names are trademarks of the Apache Software Foundation. For a complete list of trademarks, click here.
Contact Us US: +1 888 789 1488 Outside the US: +1 650 362 0488